
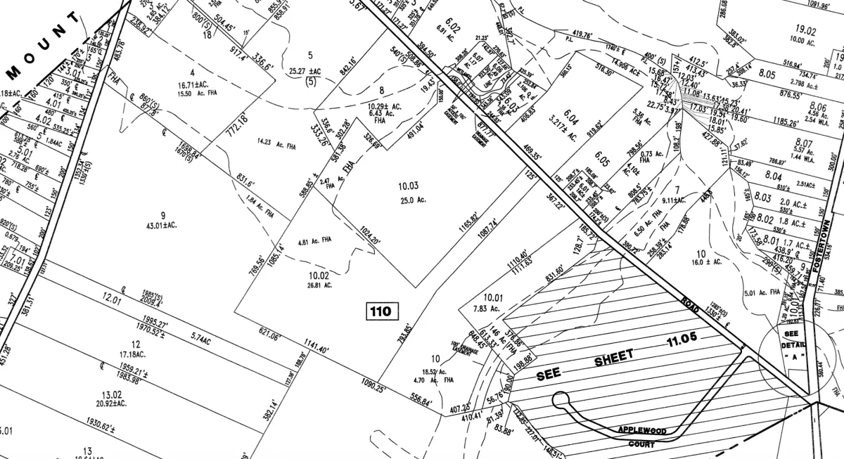
This offering presents a rare opportunity to acquire a multi-parcel land and estate holding in Hainesport Township, Burlington County, New Jersey. The property consists of a custom residence situated on approximately 26.81 acres, together with two additional parcels totaling approximately 25 acres and 18.52 acres. Individual or portfolio acquisition available.
Prior professional planning and engineering work has been completed, providing directional guidance for teams evaluating feasibility, timing, and risk allocation. The configuration supports a range of strategies including estate ownership, land banking, phased development, or long-term portfolio positioning.
The property has undergone prior professional evaluation for potential subdivision and development, including engineering and environmental analysis. Historical materials may provide preliminary guidance for feasibility and planning, though buyers should conduct independent due diligence and confirm all requirements under current municipal and regulatory standards.
Environmental review
Flood hazard analysis
Stormwater planning
Conceptual subdivision evaluation



Each parcel offers unique strategic value. Acquire individually or secure the full assemblage for maximum control.
~26.81 Acres
Custom residence on substantial acreage offering privacy, natural landscape, and flexible estate use. Ideal for owner-occupancy or strategic hold.
~25 Acres
Prior planning history on file. Supports evaluation for potential residential development or long-term hold strategies with established municipal context.
~18.52 Acres
Flexible acquisition option supporting a range of investment, hold, or strategic positioning objectives with contiguous land advantage.
















The full portfolio acquisition includes the estate residence and all adjoining land parcels, totaling approximately 70.33 acres. This structure provides maximum control, eliminates adjacency risk, and allows buyers to implement a comprehensive long-term strategy.
1.
Land banking strategies with long-term appreciation potential in a supply-constrained market with established infrastructure and regional growth dynamics.
2.
Estate ownership structures seeking privacy, legacy land holdings, and flexible future optionality in an established residential corridor.
3.
Private equity and institutional capital seeking stabilized land positions in the Philadelphia-South Jersey corridor with strategic value creation potential.
4.
Prior planning work provides directional guidance for phased residential development with conceptual subdivision evaluation already completed.
Additional documentation, parcel maps, and supporting materials are available to qualified parties. Connect with Quarterman Realty Group to explore this exceptional opportunity.
Located in Hainesport Township with regional access via Ark Road and Phillips Road, offering exceptional connectivity to the Philadelphia metro and South Jersey corridor.
The property benefits from an established residential and agricultural corridor with limited large-tract availability in the municipality. Township officials are familiar with the property based on past activity.
Hainesport Township, Burlington County
Regional access via Ark Road & Phillips Road
Philadelphia Metro & South Jersey proximity
Limited large-tract availability in established corridor


Copyright © 2026 Kathleen Quarterman. All Rights reserved.